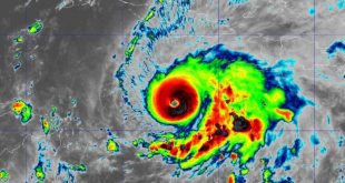
El huracán Melissa, de categoría cuatro en la escala Saffir-Simpson, ganó hoy ligeramente en intensidad y sus vientos máximos sostenidos son ahora de hasta 230 kilómetros por hora, con rachas superiores.
Según un aviso de ciclón tropical del Centro de Pronósticos del Instituto de Meteorología (Insmet) de Cuba, la presión central de este fenómeno descendió a 941 hectoPascal.
A las 18:00, hora local, el ojo del huracán Melissa fue estimado en los 16.4 grados de latitud Norte y los 77.3 grados de longitud Oeste, posición que lo sitúa a unos 175 kilómetros al sur-suroeste de Kingston, Jamaica y a 425 kilómetros al sur-suroeste de la ciudad de Santiago de Cuba.
Melissa se mueve lentamente con un rumbo próximo al oeste a una velocidad de traslación de siete kilómetros por hora.
En las próximas 24 horas se espera que este sistema continúe su lento movimiento hacia el oeste en los mares al sur de Jamaica.
Los especialistas del Insmet pronostican que luego este huracán de gran intensidad inclinará gradualmente su trayectoria al norte y el nordeste, para transitar muy cerca o sobre Jamaica, aproximándose el martes al territorio de Cuba por los mares al sur de la región oriental del país.
Las bandas externas de este organismo ciclónico continuarán incrementando los nublados y las precipitaciones en la región oriental de Cuba, que pueden llegar a ser fuertes en algunas localidades, principalmente en zonas montañosas.
De acuerdo con los expertos, se mantendrán las fuertes marejadas en los mares al sur de las provincias cubanas de Granma y Santiago de Cuba, con inundaciones ligeras en zonas bajas de ese litoral.
Escambray Periódico de Sancti Spíritus












Escambray se reserva el derecho de la publicación de los comentarios. No se harán visibles aquellos que sean denigrantes, ofensivos, difamatorios, o atenten contra la dignidad de una persona o grupo social, así como los que no guarden relación con el tema en cuestión.