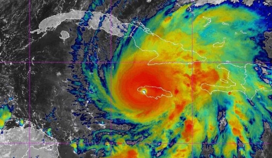
Ante la posibilidad de que la provincia de Sancti Spíritus, junto a otros territorios del país, sean afectados por el ya cercano huracán Melissa de categoría 5, compartimos con los internautas aspectos de suma urgencia.
Una advertencia a tiempo para las autoridades y la población puede evitar pérdidas de vidas humanas y, precisamente, a eso ha convocado el presidente del Consejo de Defensa Nacional Miguel Díaz-Canel Bermúdez. Escambray comparte valoraciones técnicas de especialistas de Baupanel. System (grupo de empresas que nació en España a mediados del año 2003, creada por un núcleo de profesionales de experiencia en el campo de la construcción). Los referidos expertos expresan que la categoría 5 de la escala Saffir Simpson es la más intensa, en la que el huracán supera los 250 kilómetros por hora (km/h) de velocidad de sus vientos. Apunta que los huracanes de categoría 4 son considerados como muy severos, mientras que los de categoría 5 se consideran catastróficos.
En tal sentido, señalan la fuerza de los vientos en los techos de las viviendas actúa en forma de succión hacia arriba. Asimismo, precisan que la succión efectiva sobre una cubierta tendrá el valor exacto de la presión dinámica y, a modo de ejemplo, toman el huracán Matthew de categoría 5 con vientos sostenidos de 300 km/h que pueden generar una presión dinámica igual a 434 kg/m. Esta presión es más de ocho veces la máxima de cálculo de la normativa española en la zona de mayor viento de la península ibérica. A partir de estos presupuestos, los paneles de techo diseñados por Baupanel.System alcanzan valores cercanos a 750 kg/m2 con lo cual cumplen normas de seguridad acordes a huracanes categoría 5, muy sobredimensionadas con respecto a los datos históricos de este tipo de eventos anómalos acaecidos en el globo terráqueo. Las consideraciones técnicas emitidas por esa institución son muy claras para las condiciones concretas de Cuba, donde existe una amplia gama de edificaciones de viviendas y otras superestructuras estatales, de modo que se puede afirmar categóricamente que las placas aligeradas en viviendas, los techos de fibrocemento, zinc y tejas de barro, no resisten la presión dinámica de succión sobre dichas cubiertas, provocada por la fuerza de los vientos superiores a 250 kilómetros por hora que trae el huracán Melissa, que se acerca al territorio nacional cubano.
Por otra parte, desde ya se deben prever medidas de reforzamiento de puertas de garajes y viviendas, ventanas de aluminio o madera, teniendo en cuenta la presión (fuerza en forma de embestida) que estas superficies sufrirán por metro cuadrado, acciones que se deben aplicar cuando el fenómeno atmosférico esté a punto de azotar el territorio donde nos encontremos.
Todo lo anteriormente expuesto, nunca antes vivido por los habitantes de esta parte del mundo, exige a las autoridades de los Consejos de Defensa a todos los niveles proyectar previamente una evacuación que va a requerir de la proyección solidaria de las familias que residen en inmuebles confortables, para acoger a los vecinos más cercanos momentos antes del azote del huracán, y un trabajo minucioso de las comisiones de evacuación, a fin de evitar pérdidas de vidas humanas y reducir a la mínima expresión posible los daños a la superestructura estatal y privadas de grandes dimensiones y a los productos alimenticios y de otra índole almacenados en ellas. A tiempo se gana tiempo.
Escambray reproduce las indicaciones de la Defensa Civil de Cuba de obligatorio cumplimiento por las autoridades y la población en la Fase de Alarma:
- Realizar el intercambio de información con los vecinos de acuerdo con las señales coordinadas para avisar sobre el establecimiento de la fase.
- Concluir las medidas de protección de la vivienda de acuerdo con el tiempo disponible y ocupar el lugar destinado para preservar la vida.
- No transitar por áreas inundadas. No acudir a los embalses, ríos y lagunas para pescar o bañarse ni tocar cables eléctricos.
- Alejarse de lugares con peligro de derrumbes o deslizamientos y no salir del lugar donde se encuentra protegida la familia
- Utilizar estrategias sencillas para calmar a los niños, como abrazarlos, contarles historias y jugar con ellos.
Escambray Periódico de Sancti Spíritus













Escambray se reserva el derecho de la publicación de los comentarios. No se harán visibles aquellos que sean denigrantes, ofensivos, difamatorios, o atenten contra la dignidad de una persona o grupo social, así como los que no guarden relación con el tema en cuestión.