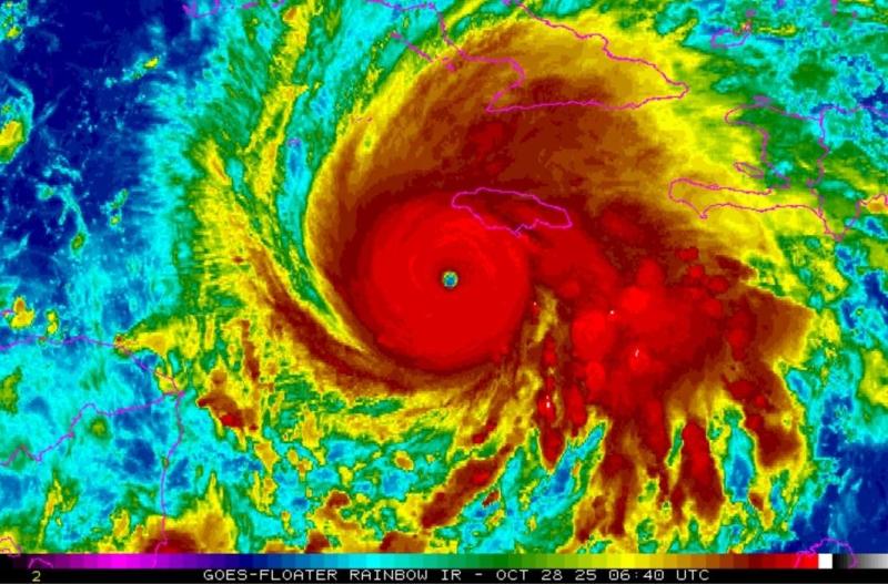
El huracán Melissa durante las últimas horas se ha mantenido con poco cambio en su intensidad. Sus vientos máximos sostenidos continúan siendo de 280 kilómetros por hora, con rachas superiores y su presión central descendió hasta 901 hectoPascal, por lo que se mantiene como un huracán de gran intensidad, categoría cinco en la escala Saffir-Simpson.
A las seis de la mañana de hoy el ojo del huracán Melissa fue estimado en los 17.3 grados de latitud Norte y los 78.3 grados de longitud Oeste, posición que lo sitúa a unos 170 kilómetros al oeste-suroeste de Kingston, Jamaica, a 285 kilómetros al sur-suroeste de Cabo Cruz, Granma y a 400 kilómetros al suroeste de la ciudad de Santiago de Cuba. Melissa continúa moviéndose al norte-nordeste y ha incrementado ligeramente su velocidad de traslación a siete kilómetros por hora.
En las próximas 24 horas se espera que el huracán incline su trayectoria gradualmente hacia el nordeste, aumentando su velocidad de traslación. Según la trayectoria pronosticada, se espera que el ojo de Melissa se adentre en Jamaica durante la mañana de hoy, aproximándose a la costa sur de la región oriental de Cuba durante la noche de hoy y en la madrugada del miércoles. Durante su trayectoria el huracán Melissa experimentará fluctuaciones en su intensidad, no obstante, se mantendrá como un huracán de gran intensidad a su paso por Jamaica y Cuba.
Las bandas externas de este huracán continuarán incrementando los nublados y las precipitaciones durante el día de hoy en la región oriental de Cuba, las que pueden llegar a ser fuertes e intensas en algunas localidades, principalmente en zonas montañosas. Los vientos serán del nordeste al este en gran parte del país, con velocidades en la tarde entre 35 y 50 kilómetros por hora en las provincias orientales, con rachas superiores, que se incrementarán a fuerza de tormenta tropical en la noche. Se mantendrán las fuertes marejadas con olas entre 2,5 a 4,0 metros en los mares al sur de las provincias de Granma, Santiago de Cuba y Guantánamo con inundaciones moderadas en zonas bajas de este litoral.
El Centro de Pronósticos del Instituto de Meteorología mantiene una estrecha vigilancia sobre la evolución y futura trayectoria de este huracán de gran intensidad.
El próximo aviso de ciclón tropical se emitirá al mediodía de hoy martes.
Escambray Periódico de Sancti Spíritus
















Escambray se reserva el derecho de la publicación de los comentarios. No se harán visibles aquellos que sean denigrantes, ofensivos, difamatorios, o atenten contra la dignidad de una persona o grupo social, así como los que no guarden relación con el tema en cuestión.