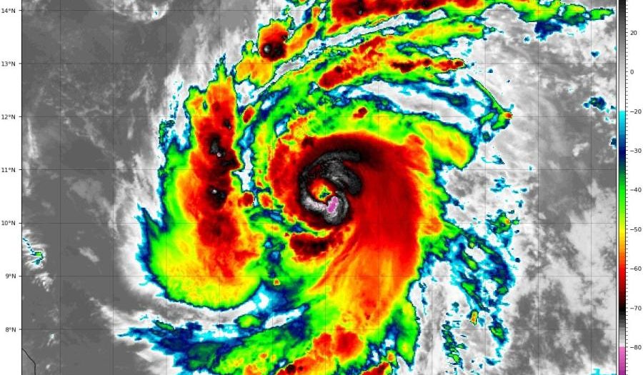
El huracán Beryl alcanzó este 30 de junio la categoría 3 en la escala Saffir Simpson y los pronósticos aseguran que podría llegar a 4 durante la mañana de este lunes, convirtiéndose en un fenómeno meteorológico extremadamente peligroso.
El Centro Nacional de Huracanes de Estados Unidos (NHC, por sus siglas en inglés) informó que Beryl se intensifica rápidamente y debe ascender a categoría 4 cuando llegue a las islas Windward mañana, por lo que reforzó su aviso de que el huracán es potencialmente mortal.
«Beryl es ahora categoría 3 muy peligroso. Se esperan vientos potencialmente mortales y marejadas ciclónicas en las Islas de Barlovento a partir del lunes temprano», advirtió el Centro Nacional de Huracanes.
Esta mañana de domingo, el ojo del huracán se localizó cerca de la latitud 10.6 Norte, longitud 53.9 Oeste con un movimiento hacia el oeste a unos 33 kilómetros por hora (km/h) y se prevé un desplazamiento rápido continuo hacia el oeste a oeste-noroeste durante los próximos días.

Los pronósticos del NHC prevén en la trayectoria que el centro de Beryl se mueva a través de las Islas de Barlovento temprano el lunes y a través del Mar Caribe sureste el lunes por la noche y el martes.
Una advertencia de huracán está vigente para Barbados y se han emitido alertas de huracán para Santa Lucía, San Vicente y las Granadinas, y Granada. Además, se han emitido alertas de tormenta tropical para Martinica, Dominica y Tobago.
Posteriormente, se movería por el sur de Haití y República Dominicana, pero su trayectoria pasaría justo por Jamaica, hacia el miércoles, todavía con fuerza de huracán, aunque con vientos menores a los que se registrarán durante su paso por las Antillas Menores.
El jueves continuaría por el sur de Cuba, aunque en este punto el pronóstico es menos preciso y a lo largo de las costas del Golfo de Estados Unidos y México están monitoreando la situación, pero tomará unos días determinar exactamente a dónde irá o qué tan fuerte será.
Los expertos prevén que se tendrá más claridad sobre el futuro recorrido de Beryl una vez que esté en el Mar Caribe a principios de la próxima semana.
Además, los datos de las aeronaves indican que los vientos máximos sostenidos han aumentado a cerca de 185 km/h con ráfagas más fuertes y alerta sobre un fortalecimiento rápido continuo durante este lunes convirtiéndolo en un huracán de categoría 4.
“Sus vientos con fuerza de huracán se extienden hacia afuera hasta 30 kilómetros desde el centro y vientos con fuerza de tormenta tropical se extienden hacia fuera hasta 130 km con una presión central mínima de 968 hectoPascal”, detalla el NHC.
Beryl se convirtió en el primer huracán de la temporada 2024 en el Atlántico, un hecho inusual ya que el primero suele formarse hacia mediados de agosto.
Este fenómeno se fortalece rápidamente y sus vientos aumentan de 56 a 120 kilómetros por hora en menos de 24 horas.
La intensificación rápida se define como un aumento del viento de 56 km/h o más en una jornada.
Escambray Periódico de Sancti Spíritus












Escambray se reserva el derecho de la publicación de los comentarios. No se harán visibles aquellos que sean denigrantes, ofensivos, difamatorios, o atenten contra la dignidad de una persona o grupo social, así como los que no guarden relación con el tema en cuestión.